900 King Street
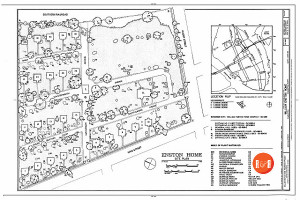
City Directories and History: The William Enston Home, a complex constructed between the initial acquisition of the property in 1882 and 1933, is significant as an early example of benevolent and philanthropic efforts to provide housing for the elderly. Funded by an 1859 bequest from William Enston, an Englishman who immigrated to Charleston in the early nineteenth century, the home was intended to house the aged and infirm in a manner similar to the home in Enston’s native Canterbury. As such, the William Enston Home may be the oldest such complexes in the South. The home was established on the north end of the Charleston peninsula on the former Storen farm. The initial portions of the Enston Home complex were built between 1884 and 1888, with additional buildings and structures built in 1893, 1927, and 1933. The site consists of 27 buildings, 2 structures, and 12.1 landscaped acres. With its neat rows of detached double cottages set amid spacious landscaped grounds, the Home provides an unusual and well-preserved example of nineteenth century picturesque suburban-planning concepts adapted to a charitable and institutional function. It is also locally significant as an example of the Romanesque Revival style, rare in Charleston. Listed in the National Register April 25, 1996. [Courtesy of the SC Dept. of Archives and History]
Stay Connected
Explore history, houses, and stories across S.C. Your membership provides you with updates on regional topics, information on historic research, preservation, and monthly feature articles. But remember R&R wants to hear from you and assist in preserving your own family genealogy and memorabilia.
Visit the Southern Queries – Forum to receive assistance in answering questions, discuss genealogy, and enjoy exploring preservation topics with other members. Also listed are several history and genealogical researchers for hire.
User comments welcome — post at the bottom of this page.
Please enjoy this structure and all those listed in Roots and Recall. But remember each is private property. So view them from a distance or from a public area such as the sidewalk or public road.
Do you have information to share and preserve? Family, school, church, or other older photos and stories are welcome. Send them digitally through the “Share Your Story” link, so they too might be posted on Roots and Recall.
Thanks!
IMAGE GALLERY courtesy of the Library of Congress – HABS Collection









